Virginia creeper – Parthenocissus quinquefolia
Parthenocissus quinquefolia (L.) Planch.
Vitaceae (Grape family)
MI Status
Native
Life cycle
Perennial woody vine.
Leaves
Alternate, palmately compound usually with five leaflets, although leaves may consist of three to seven leaflets. Leaflets have toothed margins and turn deep red in the fall.
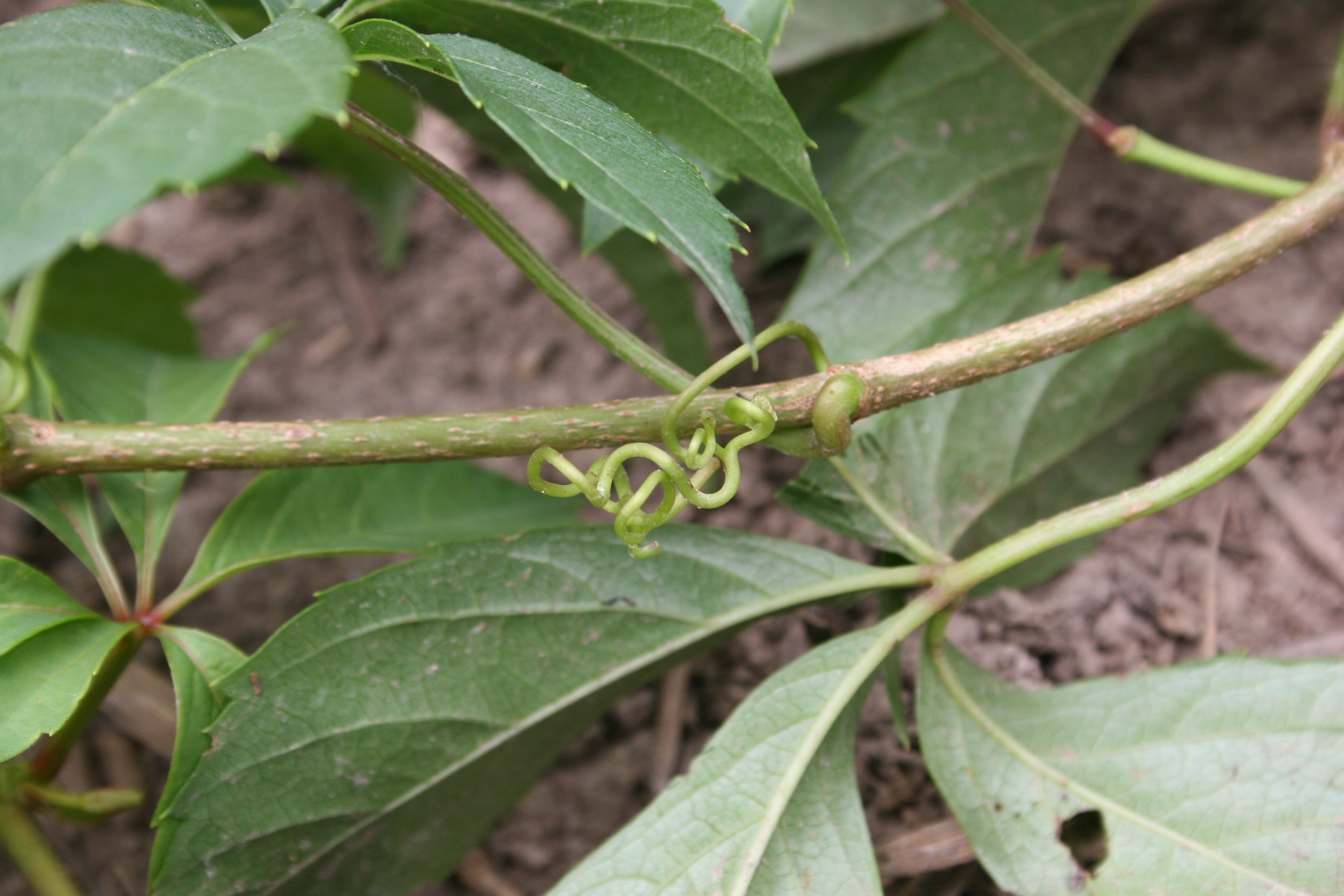
Tendrils
Branched three to eight times with adhesive disks at their tips that enable plants to grip and climb verticle surfaces.
Stems
Climbing woody vines with white pith. Young stems are red to green and turn brown with age.
Flowers and fruit
Flowers are small, inconspicuous and green to white. Fruit are small, blue to black, grapelike berries (drupes).
Reproduction
Seeds. Often dispersed by birds. Stems in contact with the ground may root.



Other Documents in this Series
You Might Also Be Interested In
-
Fifth annual MI Ag Ideas to Grow With virtual conference focuses on food and animal production
Published on January 27, 2025
-
Michigan State University College of Agriculture and Natural Resources event to focus on soil health
Published on January 12, 2016
-
New meteograms now available on MSU Enviroweather
Published on June 9, 2017
-
Integrated pest management webinars now available on demand
Published on November 1, 2013
-
Integrated pest management resources at Michigan State University Extension
Published on December 8, 2025
Accessibility Questions:
For questions about accessibility and/or if you need additional accommodations for a specific document, please send an email to ANR Communications & Marketing at anrcommunications@anr.msu.edu.