West central Michigan vegetable update – July 29, 2020

It’s time to be on top of cucurbit downy mildew sprays for cucumbers, pickles and melons, and foliar disease programs in general.

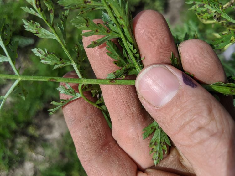
Petiole lesions from foliar disease in carrot
Petiole lesions from foliar disease were present in carrots this week. It is important to use highly effective fungicides such as Merivon or Luna Tranquility in July/August, as weather conditions warrant, to keep pathogens in check and limit selection for resistance. Photo by Ben Werling, MSU Extension.

Weather

We will see an unusual branching of the Jetstream very soon, with a trough over the Great Lakes bringing a fair, seasonable Canadian air mass. This will bring temperatures generally to the mid-70s to 80s, with lows in the 50s for the next week or two. Dry conditions will likely persist through Saturday, Aug. 1, with a chance of scattered rain overnight Saturday into Sunday. Rainfall totals of 0.25 inches or less are expected through next week for most parts of the state. The medium range forecast for Aug. 3-7 calls for below-normal temperatures and precipitation, reflecting the trough in the Jetstream.

Crop updates

Asparagus fern I visited this week had scattered purple spot lesions on main stems, with some infection of cladophylls. TomCast sensors in Crystal Valley and Elbridge recorded 7-9 Disease Severity Values (DSVs) for July 21-27 at two fields I am monitoring. For these two sites, a fungicide cover would have been warranted Monday if nothing had been applied since around July 15 or 17. Please check your own TomCast reports as conditions can vary significantly from field to field.

Japanese beetles continued to be present in some fields. Carbaryl or acetamiprid are products to consider, permethrin will provide shorter-lived control (based on experience with Japanese beetle in small fruits).

Carrot growers could include the following products in their rotation for prevention of foliar blights (see photo):

  • Chlorothalonil (FRAC M5)
  • Cabrio or Quadris (FRAC 11) plus chlorothalonil (FRAC M5)
  • Luna Tranquility (FRAC 7/9) or Merivon (FRAC 7/11)

Note, Michigan State University plant pathologist Mary Hausbeck’s work has shown that strobilurin fungicides (FRAC 11) are still helpful, though not as effective as the FRAC 7 products. Chlorothalonil should be tank mixed with them. Generics of Quadris (e.g., A-Frame) are available and affordable. Other products are pre-mixes, so chlorothalonil does not need to be added.

Hausbeck shared some advice on crafting a good program. First, consider incorporating the highly effective products (Merivon or Luna Tranquility) earlier in your spray program, don’t wait until fall. This is important both for resistance management and crop health. Why is this? Waiting to use Luna or Merivon until the end of the season will allow pathogen levels to build in the field. Remember that resistance is like a game of chance. Think of an imaginary card game where the person who gets three Queens wins it all. Now imagine you can play this game with only a three-card hand or a 10-card hand. Someone will be more likely to take the pot if you play with a 10-card hand—the odds of drawing three Queens are better with more cards. It’s kind of the same with resistance. Allowing the pathogen population to build gives it more cards to play, and more chances for the right genes to be dealt and confer resistance to a percentage of the population.

The other consideration is that July/August typically sees the warmest overnight temperatures, with temperatures cooling after Labor Day. This means that this time period is typically most favorable for foliar disease. During these two months, TomCast meters can guide you. When you see days with 3-4 DSVs, it indicates a highly effective product should be considered. One last thought: Hausbeck’s past work showed that allowing a small amount of disease to develop early in the season can lead to issues later. So, a good control program early means overall less disease pressure and healthier tops as we move towards harvest.

Celery scouts have reported observing occasional aphid colonies, but as of now have not detected outbreaks, though this is typically the time of year they occur. Check field edges for distorted plants, as problems occur here first. Aster leafhopper populations have been minimal. Celery leaf tier moths have been flying again. This is a pest to watch, as caterpillars can move into hearts during very hot periods. Variegated cutworm trap catches increased last week but have been low so far this week. It is possible that cutworm egg masses and larvae could be present.

Cucurbit downy mildew has now been confirmed in 12 counties, including Muskegon County. Hausbeck recommends that all cucumber, pickle and melon growers be on a rotation of Orondis Opti, Ranman and Zampro on a seven-day schedule. Chlorothalonil should be tank-mixed with both Ranman and Zampro, it is pre-mixed with Orondis Opti. To date, only clade 2 has been detected. This clade of downy mildew infects melons and cucumbers, but not squash. Clade 1, which infects squash, has not been detected. Your one-stop shop for all things downy mildew is here.

Are you seeing crummy older leaves on pumpkins and squash? Is it a disease or something else? Yellowing of older leaves with later necrosis is not always a concern. Given the combination of hot weather, little rain and fruit set, plants may be under stress. One key question to ask is: Is it mainly the older leaves showing issues, or does newer growth have issues too? If it is mainly older leaves, the leaf death may be due to stress and not a disease (see video below). This stress can vary over the field; for example, spots with heavier soil may look better than areas with droughtier soils.

Onion growers should be aware that Stemphlium has shown an uptick in Hausbeck’s trials, so this disease is present and active. The bacterial leaf blight Pantoea agglomerans has also been detected in some locations. Hausbeck’s lab discovered that this disease is favored by hot, humid conditions. This disease can cause significant leaf blight in onion. Control of onion thrips is the most effective option for limiting the impact of leaf blight caused by this disease.

Is it time to use Radiant? Remember that Radiant is the only product we have capable of knocking down thrips when populations build above three per leaf (24 per plant on an eight-leaf plant). One field of transplanted onions I have been monitoring will be treated with a second application of Radiant this week. A different field, with direct-sown onions, will be treated with Radiant for the first time this week. Remember that Radiant, and all products, should be applied in back-to back applications. This is to avoid selecting multiple generations of thrips for resistance. Make sure to include a good surfactant with Radiant and avoid tank mixes with Bravo Weather Stik.

What can be used if control is needed after Radiant? Work in New York onions has found two options to be helpful for finishing out the season. Lannate (seven-day preharvest interval) is one option; research at Cornell University has shown that Warrior II (14-day preharvest interval) may synergize with Lannate to improve control. Exirel (one-day preharvest interval) is another option if you have not already used Minecto Pro.

Sweet corn insect control is always a challenge. How can insect trapping and other info be combined to make decisions? We had a very informative Great Lakes Vegetable Producer’s Network today, and I wanted to pass the information on. One factor is the abundance and stage of field corn. If there is field corn in your area that is silking, it can serve as a magnet for corn earworm. When field corn is silking, a threshold of 10 moths per night in a wire Hartstack trap justifies treatment. In contrast, if field corn is not silking, then a catch of one moth per night justifies treatment (your corn is the only game in town).

Next, in general, early silks are more attractive than older silks. So, covering fresh silks with a good product is important. A general rule of thumb is to begin treatment when 25% of the field is silking. As silks brown, intervals might be lessened, but only if trap catches aren’t high. In addition, it’s also important not to forget about other pests. European corn borer is still around in Michigan, and degree day models at the Kent City, Hart and Hudsonville Enviroweather stations suggest it is active. Western bean cutworm is active now, and later in the season fall armyworm can also join the crew.

What are good corn earworm materials to use? First, there is pyrethroid resistance, but experience in Ohio suggests pyrethroids are still effective when moth pressure is low. Amongst the pyrethroids, Hero (three-day preharvest interval) has performed well in Ohio trials. When earworm pressure is very high, pyrethroids have not always performed well. Instead, under high pressure, products with chlorantraniliprole (Coragen or Beseige) and spinetoram (Radiant) are preferred. Organic growers can use spinosad (e.g., Entrust) applied directly to the silks to obtain earworm control.

Is rotation of modes of action important in Michigan? It is not critical for us for resistance management. This is because corn earworm migrates to our region from the south. Resistance we see here likely “migrates with” the moths, which are heavily selected by intensive spray programs in southern areas, where growing seasons are long and control is tough. However, it is important to stay within label guidelines, which limit applications of any one mode of action. In addition, for the reasons mentioned above, using other products beside pyrethroids will improve control under high pressure.

So, where are we at now? Over the seven days ending Monday, I captured one to two corn earworm moths per night in an Ottawa and Oceana County trap. So, earworm is present at these locations but I have not seen a spike in captures yet. When field corn nearby is not silking, this trap catch justifies a five-day spray interval. Western bean cutworm was also present at both locations, with numbers increasing over last week at the Ottawa County location. Earworm sprays should clean this pest up. Your own traps are always the best guide, as pest pressure can vary significantly by location.

Did you find this article useful?