Tomato late blight pressure is high
Tomato late blight disease is widespread in home gardens.
Late blight (Phytophthora infestans) is a disease that most commonly affects potatoes, but can infect tomatoes in some years. When the weather is favorable, as it has been in 2014, late blight can be especially troublesome.
This disease was recently reported in Michigan from a commercial potato field in Allegan County. The late blight spores from this infected potato field can infect nearby tomatoes. Tomato growers practicing integrated pest management use fungicides to protect against early blight, Septoria and anthracnose, and many of these fungicides also provide adequate protection against late blight.
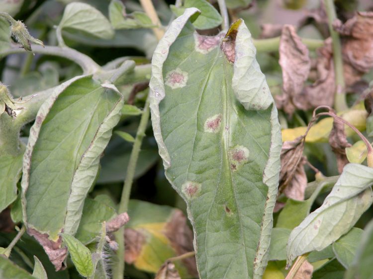
Late blight symptoms include blighting on all aboveground parts of the tomato plant. Lesions on leaves often appear dark and oily with production of spores occurring on the undersides of the leaves, resulting in a purplish appearance, especially when conditions are wet and humid (Photo 1). Blackened lesions on the stems also occur and are unique to late blight disease (Photo 2). Late blight affects green and ripened tomato fruits (Photo 3). The other commonly occurring tomato diseases do not cause a rot of the green fruit. The blighting on fruit from late blight appears as dark, greasy areas that enlarge rapidly, encompassing the entire fruit. During wet and humid conditions, white threads (mycelium) can be seen on the fruit.

Photos 2-3. Left, Late blight lesion on a tomato stem. Right, Tomato fruits infected with late blight.
Between cropping seasons, the late blight pathogen survives on volunteer and abandoned potato and tomato plants in fields, cull piles and homeowner gardens. Cool nights, moderately warm days, and weather that keep foliage or fruit wet for several hours are ideal for late blight development.
Control measures include eliminating all potato and tomato cull piles in the vicinity of tomato plantings and destroying volunteer potato plants that grow from overwintered tubers. Many commonly-grown tomato varieties are susceptible to late blight. In addition to the fungicides commonly used for early blight, Septoria and anthracnose, there are several highly effective fungicide sprays that are late blight-specific that can be used to protect tomato plants from this disease. Please see “Tomato Late Blight Fungicide Recommendations 2014” or Michigan State University Extension Bulletin 312, “2014 Insect, Disease and Nematode Control for Commercial Vegetables,” for a listing of fungicides that are registered.
Dr. Hausbeck’s work is funded in part by MSU’s AgBioResearch.