Begin scouting for Asian gall wasp in chestnuts now

We are approaching the ideal time for chestnut growers to scout for Asian chestnut gall wasp. Leaves often remain attached to the galls during fall and winter, making them highly visible.

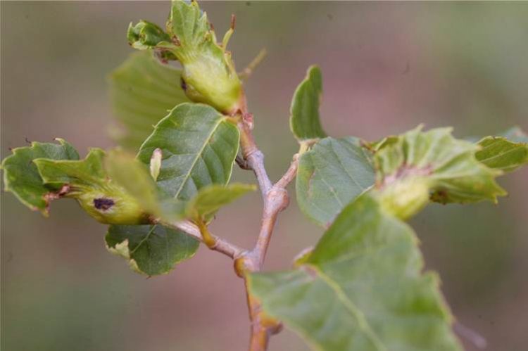
Leaf distortion and gall formation caused by Asian chestnut gall wasp on chestnut. Photo credit: Dennis Fulbright, MSU
Leaf distortion and gall formation caused by Asian chestnut gall wasp on chestnut. Photo credit: Dennis Fulbright, MSU

Michigan chestnut growers should be aware of the threat from Asian chestnut gall wasp (Dryocosmus kuriphilus), a potentially devastating invasive pest that can infest all species in the genus Castanea, including American chestnut, ornamental species and those planted for nut production.

At this time, Asian chestnut gall wasp has not been found in Michigan, but growers should understand the quarantine affecting chestnut plant material and scout for this pest regularly to ensure early detection. For more information, see “Time to start looking for signs of gall wasps in chestnuts” by Michigan State University Extension.

This material is based upon work supported by the National Institute of Food and Agriculture, U.S. Department of Agriculture, under Agreement No. 2013-41534-21068. Any opinions, findings, conclusions, or recommendations expressed in this publication are those of the author(s) and do not necessarily reflect the view of the U.S. Department of Agriculture.

This program is supported in part by North Central Region - Sustainable Agriculture Research and Extension (NCR-SARE).

Dr. Fulbright’s work is funded in part by MSU’s AgBioResearch.

Did you find this article useful?